previous next

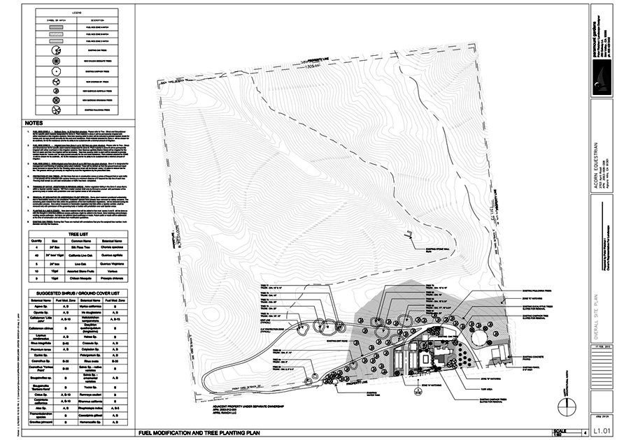
An over-all view of  one half of the April ranch. This plan was submitted to the county for approval of the fuel modification and tree planting plan.

main